НАП-Силистра продава имот в село Дунавец
Публичен изпълнител Георги Стойчев от Териториална дирекция на НАП Варна, офис Добрич обявява търг с тайно наддаване за имот в село Дунавец, община Тутракан, област Силистра.
Търгът ще се проведе на 7 март 2024 г. от 11:00 ч. в сградата на ТД на НАП Варна, офис Добрич, ул. "Независимост" №7, ет.4, стая 404.
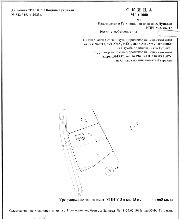
Предмет на търга е поземлен имот, застроено дворно място с площ от 665 кв.м, УПИ V-3, квартал 15, ведно с полуразрушена едноетажна сграда със застроена площ от 30 кв.м.
Първоначалната цена на имота е 2 000 лева.
Оглед на имота може да се извършва от 26 февруари 2024 г. до 1 март 2024 г. включително, от 10:00 ч. до 16:00 ч., по местонахождение на веща, село Дунавец, община Тутракан, област Силистра, след предварителна уговорка с публичния изпълнител.
Предложенията за участие в търга се подават в сградата на Териториална дирекция гр. Варна, Офис гр. Добрич, ул. "Независимост" № 7, ет. 4, стая 404 от 9:00 ч. до 17:00 ч. всеки присъствен ден от 26 февруари 2024 г. до 5 март 2024 г. включително.
Депозитът за участие в търга, в размер на 20% от обявената начална продажна цена, се внася по банков път и следва да е нареден до 5 март 2024 г. включително, по банкова сметка на ТД на НАП гр. Варна в ТБ "Инвестбанк" АД:
IBAN: BG39 IORT 7377 3300 3650 03
BIC: IORT BGSF
Условията и правилата за провеждане на търга, както и списък на вещите с тяхното описание и продажна цена са на разположение в сградата на ТД на НАП Варна офис Добрич.
Търгът ще се проведе на 7 март 2024 г. от 11:00 ч. в сградата на ТД на НАП Варна, офис Добрич, ул. "Независимост" №7, ет.4, стая 404.
Предмет на търга е поземлен имот, застроено дворно място с площ от 665 кв.м, УПИ V-3, квартал 15, ведно с полуразрушена едноетажна сграда със застроена площ от 30 кв.м.
Първоначалната цена на имота е 2 000 лева.
Оглед на имота може да се извършва от 26 февруари 2024 г. до 1 март 2024 г. включително, от 10:00 ч. до 16:00 ч., по местонахождение на веща, село Дунавец, община Тутракан, област Силистра, след предварителна уговорка с публичния изпълнител.
Предложенията за участие в търга се подават в сградата на Териториална дирекция гр. Варна, Офис гр. Добрич, ул. "Независимост" № 7, ет. 4, стая 404 от 9:00 ч. до 17:00 ч. всеки присъствен ден от 26 февруари 2024 г. до 5 март 2024 г. включително.
Депозитът за участие в търга, в размер на 20% от обявената начална продажна цена, се внася по банков път и следва да е нареден до 5 март 2024 г. включително, по банкова сметка на ТД на НАП гр. Варна в ТБ "Инвестбанк" АД:
IBAN: BG39 IORT 7377 3300 3650 03
BIC: IORT BGSF
Условията и правилата за провеждане на търга, както и списък на вещите с тяхното описание и продажна цена са на разположение в сградата на ТД на НАП Варна офис Добрич.